Öffentlichkeitsbeteiligung zur Bahnhofstraße

Wohnen am Weinberg
Sanierungsgebiet West
Dächer
Sanierungsgebiet Ost

Ergebnisse der Öffentlichkeitsbeteiligung zur Umgestaltung der mittleren Bahnhofstraße und zum Bahnhofsvorplatz – Auszug aus der Sanierungszeitung WestPost Ausgabe Nr. 9, Dezember 2022

Nachdem bereits im Jahr 2017 eine umfangreiche Bürgerbeteiligung zur Gestaltung der Straße durchgeführt worden war, trat man im Jahr 2020 noch einmal einen Schritt zurück und ließ die grundsätzlichen Möglichkeiten untersuchen, wie der Verkehr im Umfeld der Bahnhofstraße neu geordnet werden könnte. Auf der Grundlage eines deutlichen Bürgervotums beschloss der Stadtrat dann im November 2020 die Variante 0 des Verkehrskonzeptes Kötzschenbroda, in der die Verkehrsbeziehungen für alle Verkehrsteilnehmer grundsätzlich unverändert bleiben sollen. Auf dieser Grundlage erarbeitete das Verkehrsplanungsbüro VerkehrsConsult GmbH aus Dresden Varianten für den konkreten Ausbau der mittleren Bahnhofstraße, des Bahnhofsvorplatzes und der Kreuzung Bahnhofstraße / Hermann-Ilgen-Straße. In dieser Vorplanung wurden das Untersuchungsgebiet in drei Abschnitte (Nord, Mitte, Süd) unterteilt und für jeden Bereich zwei Varianten entwickelt.

Die Varianten lagen vom 04.10.2022 bis zum 04.11.2022 im Schaufenster des Touristischen Informationspunktes, Bahnhofstraße 8 und im Foyer des Technischen Rathauses, Pestalozzistraße 8 mit vorbereiteten Antwortkarten aus. Auch im Internet war eine Beteili-
gung unter www.radebeul.de möglich. 

Die Beteiligungsfrist ist jetzt abgelaufen, die Resonanz war groß. Insgesamt sind 197 Rückmeldungen eingegangen. 43 % der Teilnehmenden stimmten online ab. 57 % der Rück­äußerungen gingen per Antwortkarte oder Brief ein.                                  

 

Ergebnis Abschnitt Nord
Im nördlichen Abschnitt, der den Bahnhofsvorplatz umfasst, wurde in beiden Varianten, die zur Auswahl standen, eine signalisierte Querung (Ampel) für Fußgänger und Radfahrer über die Güterhofstraße eingeordnet. Für die Bushaltestelle am Bahnhofsvorplatz fand ebenfalls in beiden Varianten die Forderung der Verkehrsgesellschaft Meißen VGM nach einer Busbucht Anwendung.

Die gestalterische Planung orientierte sich in beiden Varianten an der Gestaltungslösung, die in der Bürgerbeteiligung im Jahr 2017 von 60 % der Teilnehmenden gewählt wurde. Daraus wurden neben der Bushaltestelle mit Fahrgastunterstand die Baumstandorte, die überdachte Fahrradabstellanlage, der Standort für Weihnachtsbaum sowie der Bereich der Fliesen übernommen. 

Nach Auswertung aller Rückäußerungen ist im Abschnitt Nord ein deutliches Ergebnis zugunsten der Variante 2 zu verzeichnen, in der auf eine signalisierte Querung für Radfahrer in Richtung Süden über die Güterhofstraße verzichtet wird. Dadurch reduziert sich der bauliche Aufwand zur Versetzung der Stützmauer.    

Abschnitt Nord, Variante 1

Abschnitt Nord, Variante 2

Ergebnis Abschnitt Mitte
Im mittleren Abschnitt, der mittleren Bahnhofstraße, musste die grundsätzliche Aufteilung zwischen Straße und Gehwegen erhalten bleiben, weil es sich hier um ein Gartendenkmal handelt. Die Einordnung separater Radverkehrsanlagen war nicht möglich.

Beide Varianten zielten darauf ab, die Aufenthaltsqualität zu verbessern und den Stadtraum durch Baumneupflanzungen und Mosaikpflasterungen aufzuwerten. Nach Abstimmung mit den zuständigen Denkmalschutzbehörden muss auf der Fahrbahn der historische Wegebelag wieder eingebaut werden. Auf dem westlichen Gehweg wird er nur ausgebessert und auf der Ostseite wieder eingebaut bzw. durch gleiches Material ersetzt. 

Die Unterschiede zwischen den beiden Varianten bestanden hier lediglich in der Anzahl
der eingeordneten Bäume und Stellplätze.

Nach Auswertung aller Rückäußerungen ist im Abschnitt Mitte ein deutliches Ergebnis zugunsten der Variante 2 zu verzeichnen, in der auf der Bahnhofstraße eine ­zweireihige Baumallee entstehen soll. Dabei werden die Pflanzlücken der westlichen ­Baumreihe geschlossen und am östlichen Fahrbahnrand entsteht eine neue Baumreihe, in die die beiden Bestandsbäume integriert werden. 

Zwei Stellflächen nördlich des Fußgängerüberweges sind für Behinderte oder Taxi vorgesehen.

Abschnitt Mitte, Variante 1

Abschnitt Mitte, Variante 2

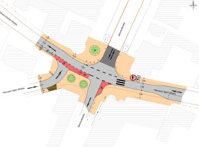
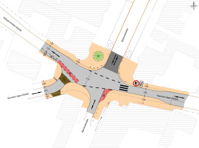
Ergebnis Abschnitt Süd
Der südliche Abschnitt, der die Kreuzung der Bahnhofstraße mit der Hermann-Ilgen-Straße umfasst, soll kompakter und übersichtlicher gestaltet werden. Dafür wurde in beiden Varianten in der östlichen Zufahrt der H.-Ilgen-Straße der Gehwegbereich vorgezogen und ein Fußgängerüberweg eingerichtet. 

Entsprechend dem Verkehrskonzept Kötzschenbroda aus 2020 wurde in beiden Varianten die Fahrbeziehung von der östlichen Hermann-Ilgen-Straße in die Wilhelm-Eichler-Straße als Vorfahrtsrichtung eingerichtet. In der Wilhelm-Eichler-Straße soll ein Radschutzstreifen entgegengesetzt der Fahrtrichtung vorgesehen werden. Die schmalen Gehwege im Bestand wurden verbreitert, wo dies möglich war. Auf der Bahnhofstraße wurde eine Aufstellfläche für nordwärts fahrende Radfahrer vorgesehen.

Die Unterschiede zwischen den beiden Varianten bestanden hier hauptsächlich in der Führung des Verkehrs aus der westlichen Hermann-Ilgen-Straße heraus.

Nach Auswertung aller Rückäußerungen ist im Abschnitt Süd ein deutliches Ergebnis zugunsten der Variante 1 zu verzeichnen, in der lediglich das Linksabbiegen aus der westlichen Hermann-Ilgen-Straße in Richtung Wilhelm-Eichler-Straße erlaubt wird. Dadurch entsteht eine Platzfläche vor dem Gebäude Bahnhofstraße 4, auf der zwei Bäume eingeordnet werden können. Fußgänger haben auf dem westlichen Gehweg der Bahnhofstraße nur noch eine Breite von 5,50 m über die zukünftige Vorfahrtsstraße zu überqueren.

Ca. ein Viertel der Teilnehmenden begründeten ihre Entscheidung schriftlich oder vermerkten auf ihrer Rückmeldung Anregungen und Hinweise. Dabei spielten insbesondere die Themen Radverkehr, Stellplätze, Verkehrsführung / -beruhigung und die detaillierte Gestaltung  des Straßen- / Platzbereiches eine Rolle.

Für Bänke, Fahrradständer, Poller, etc. sollen dabei die Modelle verwendet werden, die im gerade fertig gestellten oberen Abschnitt der Bahnhofstraße eingebaut wurden. Die Standorte der Ausstattungselemente werden erst in den weiteren Planungsphasen festgelegt.

Alle Stellungnahmen werden ausgewertet und zusammengefasst dem Stadtrat zur Entscheidungsfindung aufbereitet. Nach der Abwägung soll Anfang 2023 im Stadtrat der Baubeschluss gefasst werden, damit in den Jahren 2023 und 2024 der Ausbau erfolgen kann.

Abschnitt Süd, Variante 1

Abschnitt Süd, Variante 1